Siracusa. Scoperta una nuova specie di insetto nella Grotta del Monello: "Rinvenimento significativo"
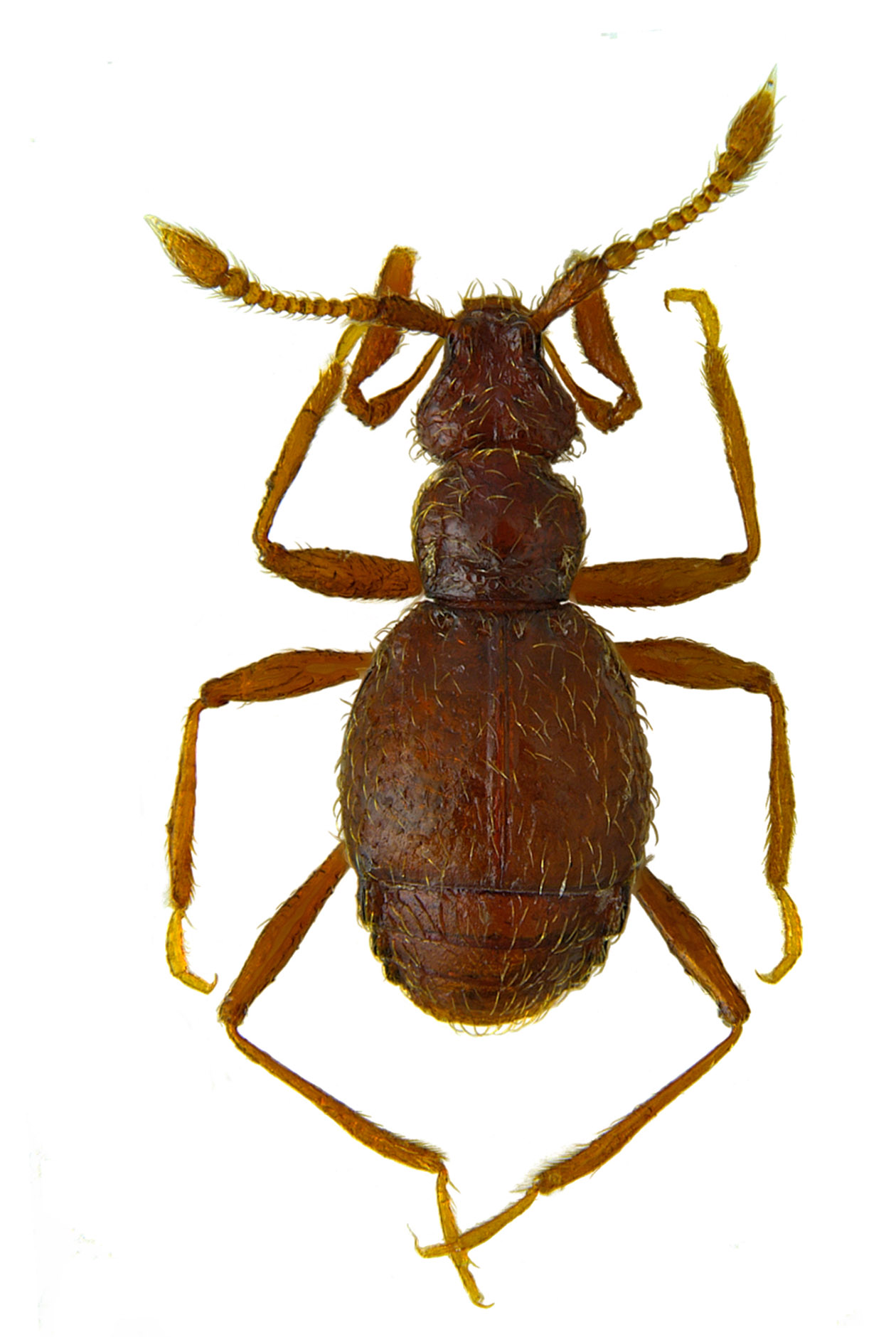
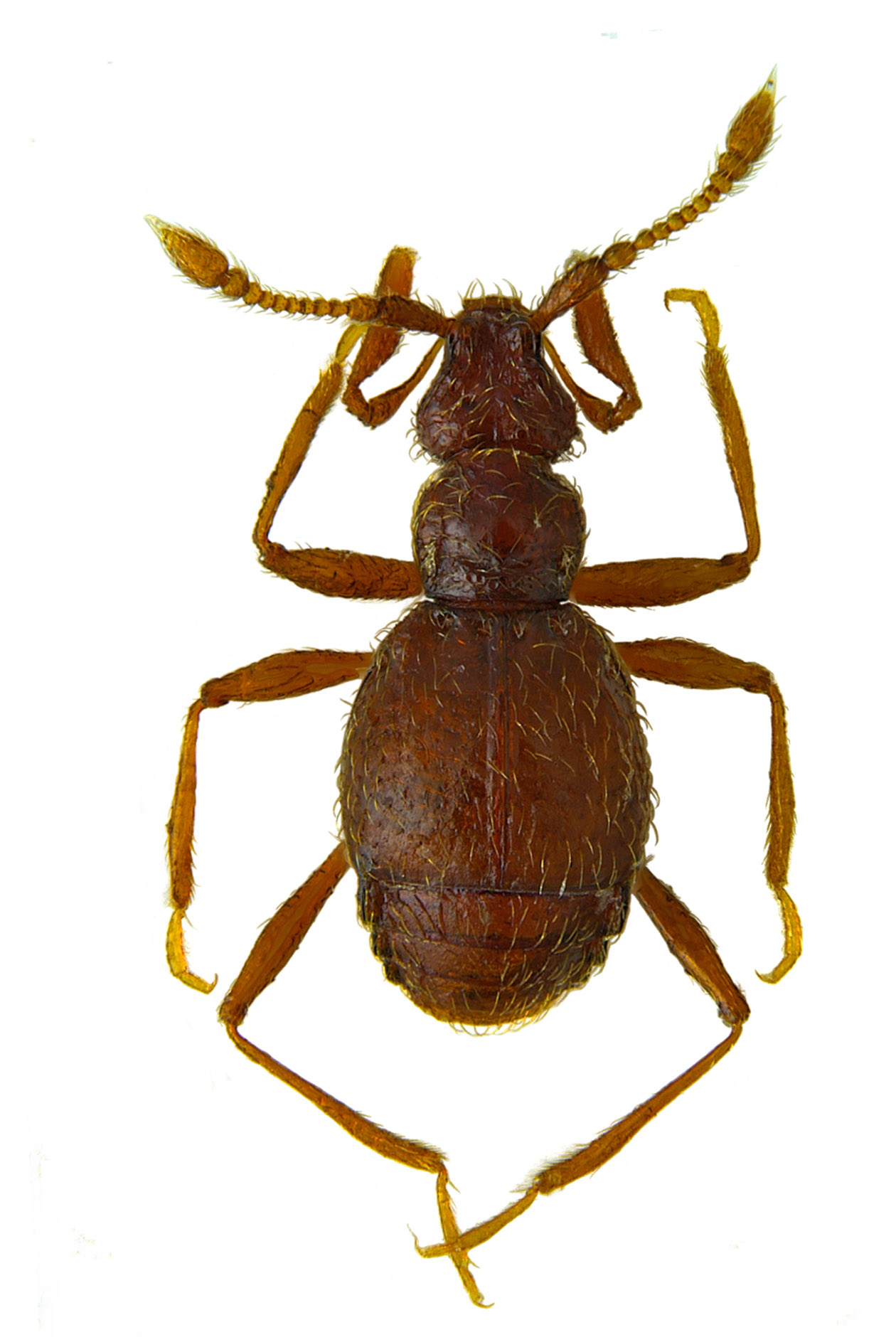
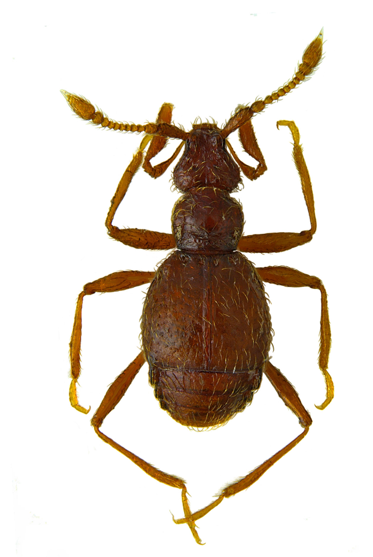
Nuova scoperta scientifica nella Grotta del Monello di Siracusa gestita dal centro di ricerca Cutgana dell’Università di Catania. Una specie nuova è stata rinvenuta nella grotta della Riserva naturale. Si tratta di un insetto troglobio – denominato Tychobythinus inopinatus Sabella, Costanzo & Nicolosi – appartenente all’ordine dei Coleotteri, e più specificatamente alla famiglia Staphylinidae e alla sottofamiglia Pselaphinae.
Il ritrovamento è avvenuto nell’ambito di un progetto di monitoraggio sulla fauna invertebrata della grotta di cui è responsabile il prof. Giorgio Sabella, docente di Zoologia del Dipartimento di Scienze Biologiche, Geologiche e Ambientali dell’Università di Catania, che ha riconosciuto e descritto la nuova specie.
La scoperta, dello biospeleologo Giuseppe Nicolosi, è avvenuta durante le attività di monitoraggio della fauna ipogea all’interno della riserva naturale “Grotta Monello” insieme con il direttore dell’area protetta Salvatore Costanzo nell’ambito di un più ampio progetto di ricerca sulla Valutazione della Carrying Capacity dell’ipogeo.
L’importante ricerca è stata pubblicata sulla rivista scientifica internazionale Zootaxa (ed. Magnolia Press) con un articolo dal titolo “Tychobythinus inopinatus, a new troglobitic species from Sicily (Coleoptera, Staphylinidae, Pselaphinae)” degli autori Giorgio Sabella, Salvatore Costanzo e Giuseppe Nicolosi.
La nuova specie ha una lunghezza variabile tra 1.30 e 1.35 millimetri e mostra adattamenti specifici alla vita in grotta, quali l’assenza di ali e di occhi, una evidente depigmentazione della cuticola e appendici allungate.
«Questa nuova specie è nota soltanto per la Grotta Monello e ne rappresenta quindi un ulteriore endemita puntiforme insieme all’isopode Oniscodeo Armadillium lagrecai e allo Pseudoscorpione Chtonius multidentatus ai quali si aggiungono un altro Pseudoscorpione, Roncus siculus, noto nella Grotta Monello e anche nella Grotta Palombara ed il Diplopode Oniscomorfo Glomeris dionysii, endemita ibleo noto per altre quattro cavità non distanti dalla Grotta Monello – spiega il prof. Giorgio Sabella -. Il patrimonio faunistico della regione iblea si arricchisce di un’ulteriore specie endemica dal grande significato biogeografico e scientifico, confermando che ricerche più mirate ed insistite potranno portare nel futuro ad altre importanti scoperte che contribuiranno in modo determinante a chiarire l’origine del popolamento animale della Sicilia. In questo contesto un’oculata gestione degli ambienti naturali è fondamentale per preservare tutte le sue componenti biotiche e abiotiche».
«L’articolo ipotizza, inoltre, che proprio le misure di attenta salvaguardia, basate su criteri strettamente scientifici, a cui è stata sottoposta la riserva negli ultimi decenni possa aver migliorato sensibilmente le sue condizioni ecologiche e quindi le opportunità per la fauna troglobia – continua il docente etneo -. Questa ipotesi potrebbe fornire una possibile spiegazione del ritrovamento della nuova specie che era invece risultata assente in campagne faunistiche basate sulle stesse metodologie di raccolta condotte all’interno della stessa Grotta Monello».
«Si tratta di una scoperta molto importante, una piccola specie con un grande significato – aggiunge il direttore della riserva “Grotta Monello”, Salvatore Costanzo -. La grotta Monello è una riserva naturale integrale istituita nel 1998 e la tutela dell’ipogeo sta dando buoni frutti. Lo dimostrano i risultati delle diverse attività di ricerca che stiamo svolgendo in questi ultimi anni all’interno della cavità che stanno ampliando il bagaglio di conoscenze relativo a questo ambiente tanto straordinario quanto delicato».














